Białośliwie

Działka na sprzedaż

Opis nieruchomości

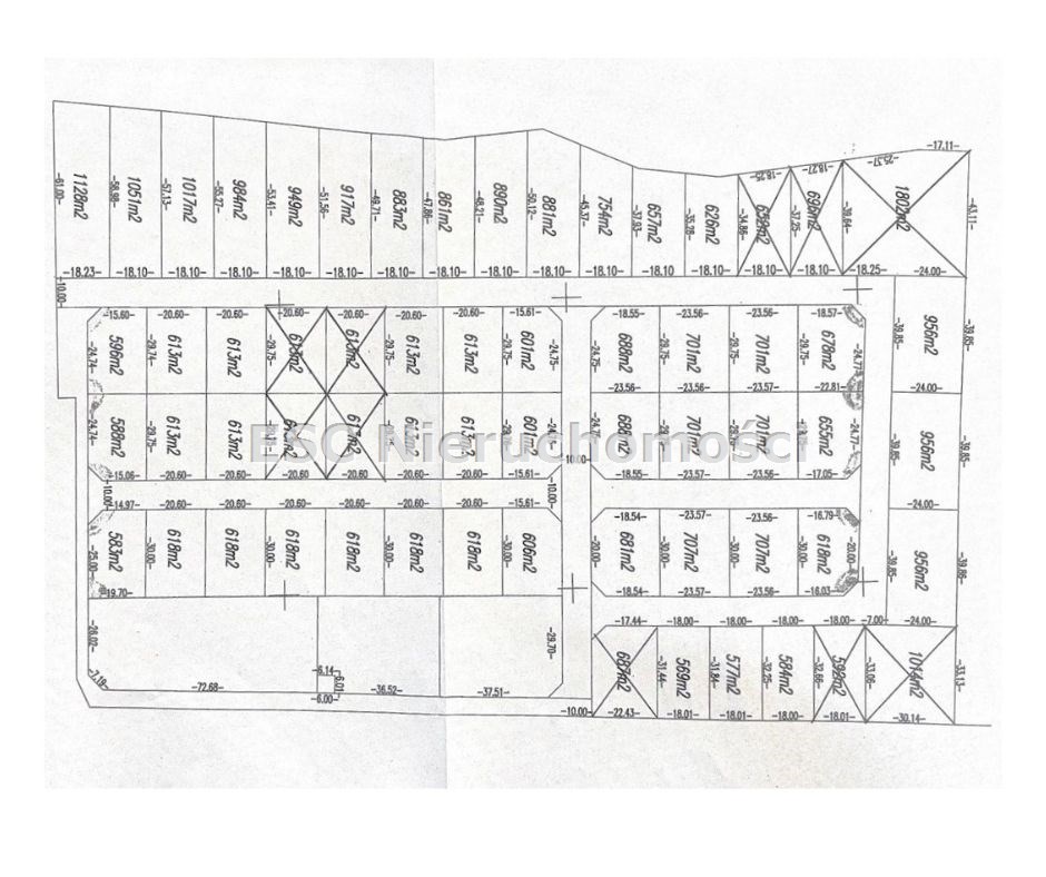
DZIAŁKI PRZY LESIE – BIAŁOŚLIWIE
Na sprzedaż 50 działek budowlanych oraz 2 działki usługowe (odrębna oferta) położone w spokojnej, zielonej części Białośliwia, w bezpośrednim sąsiedztwie lasu. To idealna propozycja dla osób szukających miejsca do życia blisko natury oraz dla inwestorów.

Najważniejsze atuty nieruchomości:

✔ działki objęte są aktualnym planem zagospodarowania przestrzennego (MN- teren zabudowy mieszkaniowej jednorodzinnej)
✔ bezpośrednie sąsiedztwo lasu – natura zaczyna się za płotem
✔ spokojna, kameralna okolica
✔ powierzchnie działek od ok. 580 m² do 1 130 m²
✔ regularne kształty – łatwe do zagospodarowania
✔ teren płaski – idealny pod budowę domu
✔ możliwość wyboru działki narożnej, przy lesie lub w centrum osiedla
✔ doskonała oferta zarówno dla klientów indywidualnych, jak i inwestorów.

Lokalizacja:

Białośliwie – miejscowość z pełną infrastrukturą: szkoła, sklepy, punkty usługowe, komunikacja.
Świetne połączenie z okolicznymi miastami, a jednocześnie pełen kontakt z naturą.

Przeznaczenie:

✔ działki budowlane – zabudowa jednorodzinna,

2 działki usługowe – pod działalność usługową lub handlową.

Zamieszkaj tam, gdzie inni przyjeżdżają odpoczywać.
Cisza, świeże powietrze i przestrzeń – to idealne warunki do życia.
 

Zestawienie wielkości działek – Białośliwie:

583 m² – 1 szt., 588 m² – 1 szt., 592 m² – 1 szt., 596 m² – 1 szt., 601 m² – 2 szt., 606 m² – 1 szt., 613 m² – 12 szt., 618 m² – 6 szt., 626 m² – 1 szt., 652 m² – 1 szt., 655 m² – 1 szt., 657 m² – 1 szt., 678 m² – 1 szt., 681 m² – 1 szt., 687 m² – 1 szt., 688 m² – 2 szt., 701 m² – 4 szt., 707 m² – 3 szt., 754 m² – 1 szt., 861 m² – 1 szt., 881 m² – 1 szt., 883 m² – 1 szt., 890 m² – 1 szt., 917 m² – 1 szt., 949 m² – 1 szt., 984 m² – 1 szt., 1017 m² – 1 szt.,1 051 m² – 1 szt., 1128 m² – 1 szt.

 

 

Nota prawna

Opis oferty zawarty na stronie internetowej sporządzany jest na podstawie oględzin nieruchomości oraz informacji uzyskanych od właściciela, może podlegać aktualizacji i nie stanowi oferty określonej w art. 66 i następnych K.C.

Szczegóły oferty

Symbol oferty FRP-GS-198898
Powierzchnia 613,00 m²
Przeznaczenie działki budowlana
Wymiary działki 613 m
Stan prawny AWZ (akt wł. ziemi)
Zagosp. działki niezagospodarowana
Ukształtowanie działki płaska
Kształt działki prostokąt
Ogrodzenie działki brak
Gaz brak
Woda brak
Prąd brak
Kanalizacja brak

Lokalizacja

Kalkulator kredytowy

PLN
%
Wysokość raty

Kalkulator kosztów

PLN
PLN
PLN
PLN
PLN
PLN
%
PLN
Podatek od czynności cywilno-prawnych
Taksa notarialna (opłata notarialna)
VAT od taksy notarialnej (opłaty notarialnej)
Wniosek do WKW
VAT od wniosku do WKW
Prowizja agencji nieruchomości
VAT od prowizji agencji nieruchomości
Wypisy aktu notarialnego - około
RAZEM (cena + opłaty)

Napisz do nas

Proszę wypełnić to pole
Proszę wypełnić to pole
Proszę wypełnić to pole
Proszę wypełnić to pole
Trwa wysyłanie...

Ta strona wykorzystuje pliki cookies w celach statystycznych oraz w celu dostosowania naszych serwisów do indywidualnych potrzeb klientów. Zmiany ustawień dotyczących plików cookie można dokonać w dowolnej chwili modyfikując ustawienia przeglądarki. Korzystanie z tej strony bez zmian ustawień dotyczących cookies oznacza, że będą one zapisane w pamięci urządzenia.

rozumiem