Czarnków

Obiekt na sprzedaż

Opis nieruchomości

Na sprzedaż – kamienica w centrum Czarnkowa

Mam przyjemność zaprezentować Państwu atrakcyjną nieruchomość zlokalizowaną w samym sercu Czarnkowa – urokliwego miasta w województwie wielkopolskim, w powiecie czarnkowsko-trzcianeckim. Czarnków to miejscowość o bogatej historii i tradycji, malowniczo położona nad Notecią, z pięknym rynkiem, rozwiniętą infrastrukturą oraz pełną uroku starówką. Miasto przyciąga zarówno turystów, jak i inwestorów, dzięki swojej lokalizacji i dogodnym połączeniom komunikacyjnym.

Nieruchomość

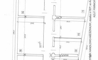
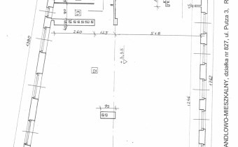
Kamienica usytuowana jest przy głównej ulicy miasta, na działce o powierzchni 189 m².
 

W skład budynku wchodzą:

  • Parter – lokal użytkowy z funkcjonującym sklepem,

  • I piętro – otwarta przestrzeń o funkcji mieszkalnej, z dużym potencjałem do aranżacji i adaptacji na mieszkania,

  • II piętro – mieszkanie składające się z 4 pokoi, kuchni, łazienki z WC.

W galerii zdjęć dostępne są rzuty poszczególnych kondygnacji, co ułatwia zapoznanie się z układem pomieszczeń.

 

Media

  • woda miejska (ciepła woda z pieca gazowego dwufunkcyjnego),

  • kanalizacja miejska,

  • gaz podłączony,

  • ogrzewanie gazowe – oddzielny piec dwufunkcyjny dla każdego piętra.

     

Atuty nieruchomości

  • prestiżowa lokalizacja – centrum Czarnkowa,

  • atrakcyjna cena,

  • pełne uzbrojenie w media,

  • doskonała inwestycja (możliwość prowadzenia działalności gospodarczej, adaptacji pod wynajem mieszkań lub własne potrzeby),

  • swoboda aranżacji przestrzeni.

     


Serdecznie zapraszam do zapoznania się z ofertą na żywo, obejrzenia prezentacji nieruchomości oraz rozmów o szczegółach. Jesteśmy otwarci na propozycje i negocjacje.


 
Bardzo korzystna oferta !!!

Polecam i zapraszam na prezentację !!!


 

Nota prawna

Opis oferty zawarty na stronie internetowej sporządzany jest na podstawie oględzin nieruchomości oraz informacji uzyskanych od właściciela, może podlegać aktualizacji i nie stanowi oferty określonej w art. 66 i następnych K.C.

Szczegóły oferty

Symbol oferty FCZ-BS-199033
Powierzchnia 360,00 m²
Powierzchnia działki 189 m²
Rodzaj obiektu kamienica
Opłaty wg liczników gaz
Stan prawny Własność
Rok budowy 1992
Gaz jest
Woda jest
Dojazd asfalt
Otoczenie centrum miasta
Ogrzewanie C.O. GAZOWE
Prąd jest
Kanalizacja miejska

Lokalizacja

Kalkulator kredytowy

PLN
%
Wysokość raty

Kalkulator kosztów

PLN
PLN
PLN
PLN
PLN
PLN
%
PLN
Podatek od czynności cywilno-prawnych
Taksa notarialna (opłata notarialna)
VAT od taksy notarialnej (opłaty notarialnej)
Wniosek do WKW
VAT od wniosku do WKW
Prowizja agencji nieruchomości
VAT od prowizji agencji nieruchomości
Wypisy aktu notarialnego - około
RAZEM (cena + opłaty)

Napisz do nas

Proszę wypełnić to pole
Proszę wypełnić to pole
Proszę wypełnić to pole
Proszę wypełnić to pole
Trwa wysyłanie...

Ta strona wykorzystuje pliki cookies w celach statystycznych oraz w celu dostosowania naszych serwisów do indywidualnych potrzeb klientów. Zmiany ustawień dotyczących plików cookie można dokonać w dowolnej chwili modyfikując ustawienia przeglądarki. Korzystanie z tej strony bez zmian ustawień dotyczących cookies oznacza, że będą one zapisane w pamięci urządzenia.

rozumiem